Village, maison n°1

Carte IGN
" © Ign Paris – 2000 " Scan 25 ® - 2002/Cudc / 0017. Reproduction interdite.
Désignation
Dénomination : maison

Localisation
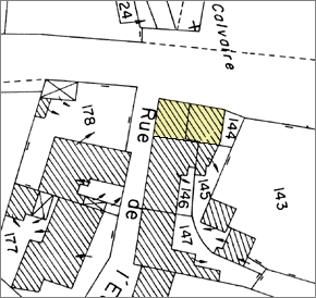
Références cadastrales : 1991 AB 145, 146
Milieu d’implantation : en village

Description
Matériau (x)du gros œuvre et mise en œuvre : grès ; calcaire ; moellon ; enduit
Matériau (x) de la couverture : tuile plate
Etat de conservation : bon

Historique
Siècle(s): limite 18e siècle 19e siècle
Commentaire historique : cette maison existe sur le cadastre de 1819 mais elle a perdu son unité parcellaire.

Statut juridique
Propriété privée

Nature de la protection M.H.
sans

Observation
C’est une des rares maisons antérieures au développement du village au milieu du 19e siècle et encore en bon état de conservation.

Date de l’enquête
2004

Plan de situation
Plan de situation d'après le cadastre de 1991

Vue d'ensemble
Vue d'ensemble

Retour plan-village